Underwater Explorers Have Uncovered What Looks To Be a Yellow Brick Road on the Seafloor
Researchers jokingly called it the "road to Atlantis."
Updated April 13 2026, 8:46 a.m. ET

Scientists watching footage obtained by the vessel Nautilus likely found themselves uttering the famed phrase, "we're not in Kansas anymore," after finding what looked to be a yellow brick road on the seafloor they were exploring.
The discovery was such an unusual one that a video showing a highlight reel from the submersible included excited chatter from the researchers involved in the dive, including a few exclamations on how crazy the find felt while they were watching it unfold.
What makes the find even more exciting is the fact that it happened a little more than a half mile under the ocean in a lakebed. However, there may be a totally reasonable explanation for what the researchers saw, even if it does very much resemble the bricks used on the set of The Wizard of Oz.
Keep reading to find out what Nautilus' scientists think they really discovered when they found the yellow brick road, and why its location is also a pretty cool place for the vessel to be exploring.

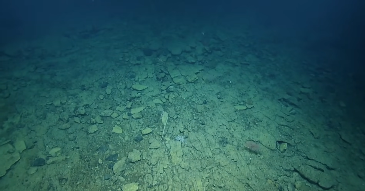
Nautilus discovered what looks like a yellow brick road on the seafloor.
The footage of the find is from a 2022 dive to a deep-sea ridge located off the Hawaiian islands, according to Science Alert. The vessel was filming a large swath of Papahānaumokuākea Marine National Monument's (PMNMs) Liliʻuokalani ridge when it stumbled upon the "bricks."
While one researcher joked about the bricks being part of the "road to Atlantis," others called the find "bizarre" and "crazy." But, there appears to be a perfectly good reason for what they were seeing.
Science Alert says that the "bricks" were likely formed by "a fractured flow of hyaloclastite rock," which probably broke as it cooled, and then settled on the seabed in the unusual pattern.
"The unique 90-degree fractures are likely related to heating and cooling stress from multiple eruptions at this baked margin," a caption on the original YouTube video said, according to the publication. However, what makes this discovery really cool is just how little of this area has actually been seen.
Where is the Papahānaumokuākea Marine National Monument?
If you've never heard of this region before, you're not alone. While it's known as being one of the largest underwater conservation spots in the entire world, only about 3 percent of it has been explored since its discovery, according to Science Alert.
That's due in some small part to the sheer size of the marine conservation area — it's larger than every single one of the U.S. national parks combined — and even more importantly, due to its inhospitable and hard-to-reach location.
The PMNM is 582,578 square miles across, according to the U.S. National Oceanic and Atmospheric Administration, and roughly 3,000 miles from any sort of continental land mass.
Additionally, the depths of the region run deeper than 3,000 feet, where some of the Pacific Ocean's oldest creatures hide in the darkness. Hopefully, the excitement of this find sparks more research into the area, allowing us to see more of what's hidden in the depths of the PMNM.